
Spiritnesia.com, Kota Kupang – Penyidik POLDA NTT sampai dengan saat ini telah memanggil beberapa orang saksi untuk diambil keterangannya terkait laporan dugaan tindak pidana nomor: LP/B/263/VIII/2023/Ditreskrimum, tanggal 08 Agustus 2023 oleh pelapor Yohanes M. Messakh terhadap terlapor Petrus G.Malelak.
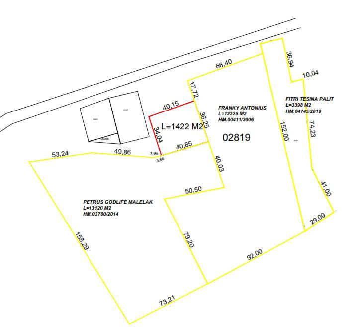
Sesuai pantauan tim media ini pada Kamis 30 November 2023, tanah yang dilaporkan oleh Yohanes M. Mesak itu telah bersertifikat atas nama Terlapor Petrus G. Malelak. Sertipikat Hak Milik (SHM), atas Tanah dengan Nomor SHM 3700 yang dibeli dari Maria Mba’u Mbuik dengan luas 13120 M² dan sementara dibangun fasilitas pribadi milik Petrus G. Malelak.
Tanah bersertifikat milik Petrus G. Malelak tersebut berbatasan dengan tanah kosong dan tidak ada bangunan yang berdiri diatas tanah tersebut serta tidak pernah ada jual beli dengan siapapun termasuk Yohanes M. Messakh.
Perlu diketahui juga bahwa tanah kosong yang berbatasan dengan tanah Petrus G. Malelak tersebut telah terbit Sertipikat Hak Guna Bangunan (SHGB), dengan Nomor 411 atas nama Selvi Dewi yang telah dibalik nama kepemilikan menjadi Franky Antonius dan Jemie Antonius.
Dengan demikian sudah seharusnya yang melaporkan dugaan tindak pidana adalah yang mempunyai hak dilokasi tanah tersebut yakni Selvi Dewi atau Franky Antonius atau Jemie Antonius bukan Yohanes M. Messakh yang tidak memiliki Alas Hak apapun disekitar tanah milik Petrus G. Malelak.
Oleh karena itu, lanjut Petrus menegaskan bahwa, ini perlu adanya Ketegasan dari pihak Kepolisian khususnya POLDA NTT terkait laporan dugaan tindak pidana yang berhubungan dengan masalah tanah atau masalah keperdataan, harus jelas kepemilikan haknya dahulu baru kemudian dijadikan sebagai bukti permulaan dalam melakukan pemeriksaan terhadap laporan yang masuk, tandasnya dengan tegas.
“Saya selaku terlapor sangat berharap agar hal ini menjadi salah satu perhatian Kapolda NTT, karena sebagai terlapor saya merasa Dikriminalisasi oleh pelapor dan Penyidik POLDA NTT,” ungkapnya. (MT/SN)